Noticias de Municipio en Boadilla del Monte
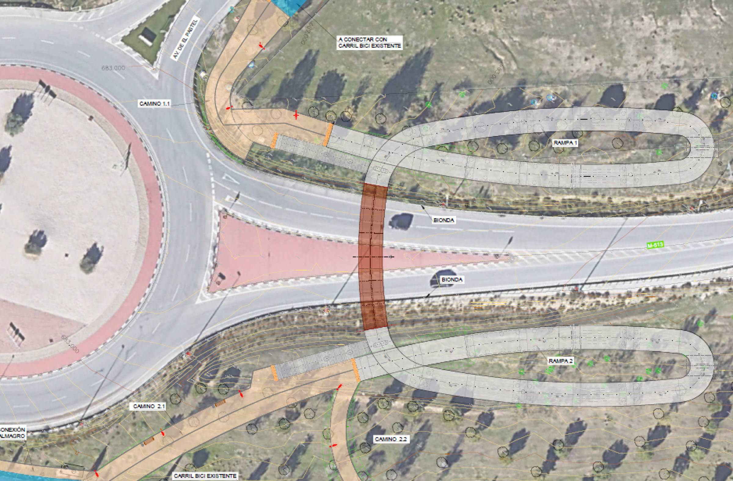
Una cuarta pasarela peatonal y ciclista sobre la M-513 conectará los nuevos desarrollos de Boadilla
El Ayuntamiento de Boadilla del Monte está licitando la construcción de una pasarela sobre la M-513 para peatones y ciclistas, que conectará El Pastel con Valenoso, dos zonas en las que residen unos 15.000 vecinos.
¿Te imaginas pasar una tarde mágica en familia rodeado de luces y espectáculos que parecen sacados ...
La Comunidad de Madrid abrirá el próximo 4 de noviembre el plazo para solicitar las ayudas al alquiler par...
Ayudas por nacimiento y manutención en Boadilla: se abre el plazo para corregir solicitudes defectuosas e incompletas
El Ayuntamiento de Boadilla del Monte ha abierto el plazo para subsanar los errores o completar la documentación ...
Comienza la construcción de un nuevo carril bici en Boadilla: enlazará las avenidas Diego de Almagro y Condesa de Chinchón
El Ayuntamiento de Boadilla ha comenzado las obras de un nuevo tramo de prolongación del carril bici que unir&aac...
Boadilla rendirá homenaje a Raphael dando su nombre al Auditorio Municipal
El Ayuntamiento de Boadilla del Monte quiere rendir homenaje a Raphael, uno de los artistas más emblemátic...
Boadilla tendrá su segundo skatepark: en marcha la construcción de la nueva zona deportiva de Valenoso
El Ayuntamiento de Boadilla del Monte está acometiendo las obras de construcción de una zona deportiva con...
El festival ‘Buenazo Perú’ toma Las Rozas con tres días de gastronomía peruana, masterclasses, música en directo y más
Del 24 al 26 de octubre, el Recinto Ferial de Las Rozas se convertirá en el epicentro de la gastronomía pe...
Boadilla comienza la instalación de cerca de 2.500 luminarias LED con las que se cubrirá la práctica totalidad del municipio
El Ayuntamiento de Boadilla del Monte ha iniciado los trabajos de instalación de 2422 luminarias LED y 23 nuevos ...
Hiper Usera refuerza su apuesta por los frescos en su nueva tienda en Boadilla
La calidad de los productos frescos —frutas, verduras, carnes y pescados— ha sido el sello distintivo de Hip...
Boadilla celebra una nueva edición de la Feria del Vino con catas y música en directo
La explanada del Palacio del Infante Don Luis vuelve a ser el escenario de una nueva edición de la 'Feria del Vin...
Cursos de defensa personal femenina gratuitos en Boadilla: el ayuntamiento abre el plazo de inscripción
El Ayuntamiento de Boadilla del Monte ha abierto el plazo de la inscripción para sus cursos municipales gratuitos...




